Szydłowo (gw), Dolaszewo

Działka na sprzedaż

Opis nieruchomości

DZIAŁKA BUDOWLANA W DOLASZEWIE
GM. SZYDŁOWO

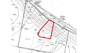
O POW. 733 m2

  
Zgodnie z obowiązującym planem zagospodarowania przestrzennego istnieje możliwość:
- zabudowy mieszkaniowej jednorodzinnej wolnostojącej lub bliźniaczej;
- dopuszcza się lokalizację lokali usługowych nie przekraczających 30% powierzchni całkowitej budynku
- dopuszcza się obiekty gospodarcze, garaże wbudowane lub wolnostojące;
- dopuszcza się lokalizację garaży bezpośrednio przy granicy działek budowlanych;
- maksymalna wysokość budynku 2 kondygnacje nadziemne, w tym druga w dachu, nie więcej niż 9,0 m do kalenicy;
- dopuszcza się zastosowanie ścian kolankowych w drugiej kondygnacji budynków;
- kąt nachylenia dachu od 30°do 45°;



UCHWAŁA NR IV/27/11
Rady Gminy Szydłowo
z dnia 10 lutego 2011 r.



Media:
- wodociąg w drodze
-kanalizacja w drodze
-prąd dociągnięty do sąsiedniej działki (brak skrzynki na przedmiotowej działce)

 
Działka ma kształt wielokąta i położona jest w atrakcyjnym miejscu, na tworzącym się osiedlu nowoczesnych domów.


ZAPRASZAMY NA PREZENTACJĘ!
 
BEZPŁATNA POMOC W UZYSKANIU KREDYTU !!


 
Dane opisu nieruchomości podane są przez zamawiającego.
Powyższy opis ma charakter informacyjny i nie stanowi oferty w rozumieniu przepisów Kodeksu Cywilnego. Wszelkie prawa zastrzeżone!
Opis oraz zdjęcia są własnością biura.
Kopiowanie, powielanie, wykorzystywanie zdjęć i opisu bez zgody autora zabronione.

Nota prawna

Opis oferty zawarty na stronie internetowej sporządzany jest na podstawie oględzin nieruchomości oraz informacji uzyskanych od właściciela, może podlegać aktualizacji i nie stanowi oferty określonej w art. 66 i następnych K.C.

Szczegóły oferty

Symbol oferty ABC-GS-97446
Powierzchnia 733,00 m²
Przeznaczenie działki budowlana
Stan prawny własność
Zagosp. działki niezagospodarowana
Ukształtowanie działki lekko nachylona
Kształt działki wielokąt
Ogrodzenie działki brak
Gaz brak
Woda w drodze
Dojazd droga gruntowa
Otoczenie zabudowa jednorodzinna
Położenie obrzeża miasta
Kanalizacja miejska

Lokalizacja

Kalkulator kredytowy

PLN
%
Wysokość raty

Kalkulator kosztów

PLN
PLN
PLN
PLN
PLN
PLN
%
PLN
Podatek od czynności cywilno-prawnych
Taksa notarialna (opłata notarialna)
VAT od taksy notarialnej (opłaty notarialnej)
Wniosek do WKW
VAT od wniosku do WKW
Prowizja agencji nieruchomości
VAT od prowizji agencji nieruchomości
Wypisy aktu notarialnego - około
RAZEM (cena + opłaty)

Podobne oferty

działka na sprzedaż - Szydłowo (gw), Pokrzywnica

działka na sprzedaż

Szydłowo (gw), Pokrzywnica
  1 565,00 m2 79,87 zł/m2
oferta na wyłączność
działka na sprzedaż - Szydłowo (gw), Skrzatusz

działka na sprzedaż

Szydłowo (gw), Skrzatusz
  950,00 m2 84,21 zł/m2
oferta na wyłączność
działka na sprzedaż - Szydłowo (gw), Skrzatusz

działka na sprzedaż

Szydłowo (gw), Skrzatusz
  950,00 m2 84,21 zł/m2
oferta na wyłączność
działka na sprzedaż - Szydłowo (gw), Skrzatusz

działka na sprzedaż

Szydłowo (gw), Skrzatusz
  950,00 m2 84,21 zł/m2

Napisz do nas

Proszę wypełnić to pole
Proszę wypełnić to pole
Proszę wypełnić to pole
Proszę wypełnić to pole
Trwa wysyłanie...

Ta strona wykorzystuje pliki cookies w celach statystycznych oraz w celu dostosowania naszych serwisów do indywidualnych potrzeb klientów. Zmiany ustawień dotyczących plików cookie można dokonać w dowolnej chwili modyfikując ustawienia przeglądarki. Korzystanie z tej strony bez zmian ustawień dotyczących cookies oznacza, że będą one zapisane w pamięci urządzenia.

rozumiem